Menu
Opcje wyglądu
Plac Basztowy 3
48-340 Głuchołazy
Tel./fax: 77 40 92 631
E-mail: gtbs@op.pl
NIP 753-19-74-945
REGON 531503840
Przetargi ustne nieograniczone na sprzedaż niezabudowanych nieruchomości gruntowych położonych przy ul. Kopernika/Matejki w Głuchołazach


Głuchołaskie Komunalne Towarzystwo Budownictwa Społecznego

Spółka z o.o. z siedzibą: ul. Plac Basztowy 3, 48-340 Głuchołazy, NIP 753-19-74-945, REGON 531503840, NR KRS 174418 SĄD REJONOWY W OPOLU VIII WYDZIAŁ GOSPODARCZY KRAJOWEGO REJESTRU SĄDOWEGO

OGŁASZA

przetargi ustne nieograniczone na sprzedaż niezabudowanych nieruchomości gruntowych, stanowiących własność Głuchołaskiego Komunalnego Towarzystwa Społecznego Sp. z o.o., położonych przy ul. Kopernika/Matejki w Głuchołazach.

Województwo opolskie, powiat: nyski, Gmina Głuchołazy

Jednostka ewidencyjna: Głuchołazy - miasto

Obręb ewidencyjny: 160701_4.0001, Głuchołazy

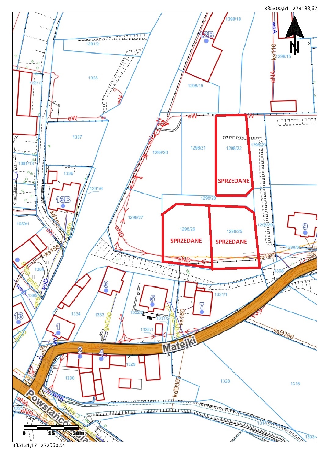
Nr Działek :

1. 1298/20 pow. - 0,0968 ha

2. 1298/21 pow. - 0,0858 ha

3. 1298/27 pow. - 0,0946 ha

Przeznaczenie działek z MPZP ( 019) ; 8S, P, MN . Pod zabudowę składowo-produkcyjną. Tereny obiektów produkcyjnych, dopuszczalne produkcyjno-usługowe i obiektów infrastruktury technicznej lub o podstawowym przeznaczeniu dla zabudowy mieszkaniowej jednorodzinnej i dopuszczalnym dla zabudowy usług rzemiosła i zabudowy usługowej.

Nieruchomości posiadają dostęp do drogi publicznej (ul. Matejki, droga gminna) poprzez wydzielone na ten cel działki nr 1298/28 stanowiące własność GKTBS Sp. z o.o, z przeznaczeniem pod drogę wewnętrzną oraz działki 1298/23, 1298/29 droga Gminna.

W ewidencji gruntów i budynków działki sklasyfikowane są jako użytek: Bp

Nieruchomości będące przedmiotem przetargu wolne są od obciążeń i zobowiązań.

 

  1. Przetarg ustny nieograniczony na sprzedaż niezabudowanej nieruchomości oznaczonej działką nr 1298/20 o pow. 0,0968 ha, obj. KW OP1P/00038745/5 Sądu Rejonowego w Prudniku.

Cena wywoławcza nieruchomości wynosi: 94 439,02 zł netto (słownie: dziewięćdziesiąt cztery tysiące czterysta trzydzieści dziewięć złotych 02/100) plus podatek VAT w wysokości 21 720,98 zł (słownie: dwadzieścia jeden tysięcy siedemset dwadzieścia złotych 98/100), obliczony według stawki 23 %, co łącznie daje kwotę brutto 116 160,00 zł (słownie: sto szesnaście tysięcy sto sześćdziesiąt złotych 00/100).

 

O wysokości postąpienia decydują uczestnicy przetargu z tym, że postąpienie nie może wynosić mniej niż 1 000,00 zł (słownie: jeden tysiąc złotych 00 /100).

 

Wadium wynosi 5 000,00 zł (słownie: pięć tysięcy złotych 00/100) należy je wnieść w środkach pieniężnych przelewem na rachunek bankowy Głuchołaskiego Komunalnego Towarzystwa Budownictwa Społecznego Spółka z o.o. - Bank Spółdzielczy w Głuchołazach 06 8891 0000 0000 5252 2000 0020, najpóźniej do 07.05.2024 r. do godz. 12:00.W tytule wpłaty należy podać dane uczestnika przetargu oraz numer działki ewidencyjnej, której dotyczy wadium. Za datę wniesienia wadium uznaje się dzień wpływu należności na rachunek GKTBS Sp. z o.o.

 

  1. Przetarg ustny nieograniczony na sprzedaż niezabudowanej nieruchomości oznaczonej działką nr 1298/21 o pow. 0,0858 ha, obj. KW OP1P/00038745/5 Sądu Rejonowego w Prudniku.

    Cena wywoławcza nieruchomości wynosi: 83 707,32 zł netto (słownie: osiemdziesiąt trzy tysiące siedemset siedem złotych 32/100) plus podatek VAT w wysokości 19 252,68 zł (słownie: dziewiętnaście tysięcy dwieście pięćdziesiąt dwa złotych 68/100), obliczony według stawki 23 %, co łącznie daje kwotę brutto 102 960 zł (słownie: sto dwa tysiące dziewięćset sześćdziesiąt złotych 00/100).

    O wysokości postąpienia decydują uczestnicy przetargu z tym, że postąpienie nie może wynosić mniej niż 1 000,00 zł (słownie: jeden tysiąc złotych 00 /100).

    Wadium wynosi 5 000,00 zł (słownie: pięć tysięcy złotych 00/100) należy je wnieść w środkach pieniężnych przelewem na rachunek bankowy Głuchołaskiego Komunalnego Towarzystwa Budownictwa Społecznego Spółka z o.o. - Bank Spółdzielczy w Głuchołazach 06 8891 0000 0000 5252 2000 0020, najpóźniej do 07.05.2024 r. do godz. 12:00.W tytule wpłaty należy podać dane uczestnika przetargu oraz numer działki ewidencyjnej, której dotyczy wadium. Za datę wniesienia wadium uznaje się dzień wpływu należności na rachunek GKTBS Sp. z o.o.

     

  2. Przetarg ustny nieograniczony na sprzedaż niezabudowanej nieruchomości oznaczonej działką nr 1298/27 o pow. 0,0946 ha, obj. KW OP1P/00038745/5 Sądu Rejonowego w Prudniku.

Cena wywoławcza nieruchomości wynosi: 92 292,68 zł netto (słownie: dziewięćdziesiąt dwa tysiące dwieście dziewięćdziesiąt dwa złotych 68/100) plus podatek VAT w wysokości 21 227,32 zł (słownie: dwadzieścia jeden tysięcy dwieście dwadzieścia siedem złotych 32/100), obliczony według stawki 23 %, co łącznie daje kwotę brutto 113 520,00 zł (słownie: sto trzynaście tysięcy pięćset dwadzieścia złotych 00/100).

O wysokości postąpienia decydują uczestnicy przetargu z tym, że postąpienie nie może wynosić mniej niż 1 000,00 zł (słownie: jeden tysiąc złotych 00 /100).

 

Wadium wynosi 5 000,00 zł (słownie: pięć tysięcy złotych 00/100) należy je wnieść w środkach pieniężnych przelewem na rachunek bankowy Głuchołaskiego Komunalnego Towarzystwa Budownictwa Społecznego Spółka z o.o. - Bank Spółdzielczy w Głuchołazach 06 8891 0000 0000 5252 2000 0020, najpóźniej do 07.05.2024 r. do godz. 12:00.W tytule wpłaty należy podać dane uczestnika przetargu oraz numer działki ewidencyjnej, której dotyczy wadium. Za datę wniesienia wadium uznaje się dzień wpływu należności na rachunek GKTBS Sp. z o.o.

 

 

Przetargi na sprzedaż nieruchomości wymienionych w pkt 1 - 3 odbędą się w budynku Głuchołaskiego Komunalnego Towarzystwa Budownictwa Społecznego Sp. z o.o. Pl. Basztowy 3 Głuchołazy, pokój nr 22 I piętro w dniu 07 maja 2024 r. godz. 12:00.

Warunkiem udziału w przetargach jest wpłacenie przez uczestnika w wyznaczonym terminie wadium oraz przedłożenie Komisji Przetargowej przed otwarciem przetargu:

- kopii dokumentu potwierdzającego dokonanie wpłaty wadium - w przypadku chęci udziału w przetargu na więcej niż jedną nieruchomość wadium należy wpłacić odrębnie dla każdej nieruchomości we wskazanej w ogłoszeniu wysokości.

W przypadku wpłacenia wadium na działkę, którą oferent chciał nabyć a została przelicytowana wpłacone wadium może na wniosek oferenta zostać przesunięte na następną nieruchomość będącą w licytacji.

- oświadczenia, że oferent zapoznał się z warunkami przetargu i przyjmuje te warunki bez zastrzeżeń, oraz że zapoznał się ze stanem faktycznym i prawnym nabywanej nieruchomości oraz zagospodarowania terenu, i nie zgłasza do nich zastrzeżeń,

- jeżeli oferentem jest firma – okazanie do wglądu aktualnego potwierdzenia aktywnego wpisu do Centralnej Ewidencji Działalności Gospodarczej lub aktualny odpis lub wydruk z KRS,

- okazanie dowodu tożsamości,

- w przypadku przystąpienia do przetargu osób fizycznych pozostających w związku małżeńskim, posiadających ustawową wspólność małżeńską do udziału w przetargu wymagana jest obecność obojga małżonków. W przypadku uczestnictwa w przetargu jednego małżonka należy złożyć do akt pisemne oświadczenie współmałżonka, iż wyraża on zgodę na nabycie nieruchomości będącej przedmiotem przetargu po cenie wylicytowanej przez współmałżonka przystępującego do przetargu,

- jeżeli uczestnik jest reprezentowany przez pełnomocnika, konieczne jest przedłożenie oryginału notarialnego pełnomocnictwa upoważniającego do działania na każdym etapie postępowania przetargowego.

Dodatkowe informacje:

W przypadku zaistnienia uzasadnionych powodów Prezes GKTBS Sp. z o.o. zastrzega sobie prawo odwołania przetargu bez podania przyczyn.

Przed przystąpieniem do przetargu oferent winien zapoznać się z aktualnym stanem zagospodarowania oraz uzbrojeniem terenu.

Zapewnienie warunków dostawy mediów oraz określenie technicznych warunków podłączenia nieruchomości do sieci technicznych określą właściwe służby na wniosek nabywcy. Koszty podłączenia do sieci technicznych pokrywa nabywca.

Wadium wpłacone przez oferenta, który zostanie ustalony jako nabywca nieruchomości, zaliczone będzie na poczet ceny sprzedaży. Pozostałym uczestnikom przetargu wadium zostanie zwrócone w ciągu 3 dni roboczych od zamknięcia, odwołania, unieważnienia lub zakończenia wynikiem negatywnym przetargu, na konto wskazane przez uczestnika przetargu.

Cena nabycia nieruchomości płatna jest jednorazowo przed zawarciem umowy notarialnej. W dniu podpisania umowy notarialnej środki finansowe winny znajdować się na rachunku bankowym GKTBS Sp. z o.o. O terminie zawarcia umowy notarialnej nabywca zostanie zawiadomiony do 21 dni od dnia rozstrzygnięcia przetargu. Koszty notarialne i sądowe ponosi nabywca.

Jeżeli oferent ustalony, jako nabywca nieruchomości nie przystąpi bez usprawiedliwienia do zawarcia umowy w miejscu i w terminie podanym w zawiadomieniu, Prezes GKTBS Sp. z .o.o. może odstąpić od zawarcia umowy, a wpłacone wadium nie podlega zwrotowi.

Przy nabywaniu nieruchomości przez osobę będącą cudzoziemcem w rozumieniu ustawy z dnia 24 marca 1920 r. o nabywaniu nieruchomości przez cudzoziemców (t.j. Dz. U. z 2017 r. poz. 2278 ) nabywca winien do aktu notarialnego przedłożyć stosowne zezwolenie wynikające z przepisów tej ustawy. W przypadku nieuzyskania zezwolenia przed zawarciem umowy notarialnej wpłacone wadium przepada na rzecz GKTBS Sp. z o.o.

GKTBS Sp. z o.o. nie ponosi odpowiedzialności w razie ujawnienia się okoliczności leżących po stronie oferenta, uniemożliwiających zawarcie umowy przenoszącej własność. W razie zaistnienia wskazanych okoliczności, organizator przetargu może odstąpić od zawarcia umowy, a wpłacone wadium nie podlega zwrotowi.

Ogłoszenie o przetargach wywiesza się w siedzibie GKTBS Sp. z o.o Głuchołazy oraz publikuje na stronie internetowej GKTBS Sp. z o.o. www.tbs-glucholazy.pl , w Biuletynie Informacji Publicznej GKTBS Sp. z o.o, bip.tbs-glucholazy.pl oraz na portalach nieruchomości. Ponadto informacje dotyczące przetargów można uzyskać w GKTBS Sp. z o.o. Plac Basztowy 3 Głuchołazy , pok. 22 lub tel. (77) 40-92-631 wew.32

Głuchołazy, dnia 9 kwiecień 2024 r.

NR KRS 174418 Sąd Rejonowy w Opolu VIII Krajowego Rejestru Sądowego | Wydział Gospodarczy Kap. Zakładowy 2 109 500 zł